Viernes 15 de Enero de 2021
Leído › 6482 veces
La Kadarka fue la primera uva roja que llegó a Hungría hace más de medio milenio y en los siglos posteriores se convirtió en la variedad destinada a la vinificación de tintos más plantada del país hasta que casi se extinguió con la aparición de la filoxera que devastó la mayoría de los viñedos. (El primer brote se detectó en 1874 y se mantuvo acotado hasta 1897, un largo periodo de tiempo durante el cual la superfície afectada alcanzó 226.900 hectáreas, o sea el 76 % del total de las plantaciones de vid en el territorio nacional de aquel entonces.) Después de la plaga, ésta se resurgió espectacularmente debido a la buena adaptabilidad a suelo arenoso, poco propicio para la filoxera, en virtud de que las raíces poseen múltiples ramificaciones y crecen profundo, asegurandole así buena alimentación hídrica y nutricional.

En el período de entreguerras, se ha extendido en varias regiones como una de las más elegidas nativas en los nuevos viñedos y su fruto ha sido utilizado para producir tanto monovarietales como mezclas que se han podido consolidarse entre los más exitosos caldos. Para la segunda mitad del siglo pasado, se ha registrado un aumento considerable de su producción que se asocia a un incremento sostenido del consumo nacional de los vinos corrientes sin aspiraciones de calidad notable asi como a la exportación de grandes cantidades de éstos, sobre la base de trueque, a países de bloque comunista. La expansión ha continuado en pleno auge hasta el 1965 cuando la superfície cultivada de esta uva ha ocupado unas 47.000 hectáreas, lo que la ha convertido, con el 23% del total, en la principal variedad tinta. (En aquel entonces, se la utilizó como el ingrediente importante del Bikavér que fue uno de los tintos más buscados por el consumidor local y exportado masivamente a los socios del Comecon.) Sin embargo, como consecuencia de la reconversión del viñedo, que ocasionó el uso de nuevas técnicas como la conducción en espaldera para facilitar la mecanización del cultivo, a lo que la Kadarka no se ha adaptado bien, la superfície vitícola de ésta ha venido experimentando un continuo descenso hasta llegar en el 2002 a solo 993 hectáreas, el 1,1% del total.
En cuanto al origen de la Kadarka, según versiones de la mayoría de historiadores de vino, es de la región del Lago Skadar (Skutari), que se encuentra en la frontera entre Albania y Montenegro. Sin embargo, hay otra que, a base de análisis de parentesco recientemente realizado, la identifica como descendiente de la Papazkarasi, una indígena de la histórica región de Tracia ubicada entre los límites territoriales actuales de Turqía, Bulgaria y Grecia. En tiempos de antaño, en idioma húngaro se llamaba "uva turca" tal vez debido a esta razon, pero más bien porque sus plantaciones empezaron un poco antes de la época de la dominación de gran parte del territorio histórico húngaro por el imperio otomano, cuando varios grupos de pueblos balcánicos - obligados a huir frente el avance de los guerreros - llegaron a esas tierras trayendola consigo en busca de un lugar para salvarse y poder seguir tomando su vino acostumbrado. Con el paso del tiempo, era conocida bajo una cantidad de nombres, y cada uno con el mismo adjetivo calificativo „fekete" que significa negra. (Ejemplos: Budai Fekete, Jenei Fekete, Fekete Cigány, Fekete Linka.) Se conoce como autóctona desde hace tiempo también en Bulgaria donde se llama Gamza (Gmza, Gymza) y en Albania donde su nombre es Kallmet. En otros países centro-europeos y balcánicos sus nombres sinónimos son: Cadarca, Branicevka, Negru Moale, Chetereshka, Skadarka Crna, Skutariner, solo por mencionar algunos.

Según la lista de un centro de investigación (JKI) alemán, nada menos que 148 sinónimos giran en torno a la Kadarka (Vitis Vinífera Linné Subspecies Vinifera) que forma parte de la colección de variedades de 36 institutos científicos de 17 países.
Dentro de las fronteras del Reino de Hungría (1000-1918) su cultivo se extendía al norte hasta Eger, al este hasta Ménes (Minis) y al sur hasta Szerémség (Srem). En la segunda mitad del siglo XVII el centro de su producción fue en la cercanía del Castillo Real de Buda y gran parte de los viñedos de otras zonas del país fue también plantada de vides de esta variedad. A principios del siglo XX ha sido replantada principalmente en la Gran Llanura donde se aclimató perfectamente y durante muchas décadas satisfizo las exigencias de los productores (pequeños y estatales).
Hoy en día, en el territorio actual del país las plantaciones de Kadarka ocupan 276,5 hectáreas, equivalentes a un 0,46% del total, cuya mayoría se encuentra en las regiones de Kunság (33%), Szekszárd (28%) y Eger (12%). En las décadas recién pasadas, la atención de los productores se centró en elegir por medio de selecciones aquellos clones que producen vinos de alta calidad con tipicidad, y en buscar parcelas de viña vieja plantada por los antecesores que se salvaron del afán renovador por el prolongado trato artesanal recibido de sus propietarios respetuosos con las tradiciones. Los mejores resultados de mejoramiento han sido obtenidos en la disminución de la sensibilidad al podredumbre y en el aumento de la generación e intensidad de color de las bayas. (Se ha creado también híbridas, cruzandola con otra como la Muscat Bouschet cuyo resultado es la Bíbor Kadarka.) Gracias a los esfurzos exitosos de los centros de investigación vitivinícola nacionales, ante todo en Pécs y Kecskemét, en el Catastro Nacional de Vides de Vinificación actualmente se encuentran 6 clones de esta variedad, registrados en 1969 (P9) y en 2011 (el resto).

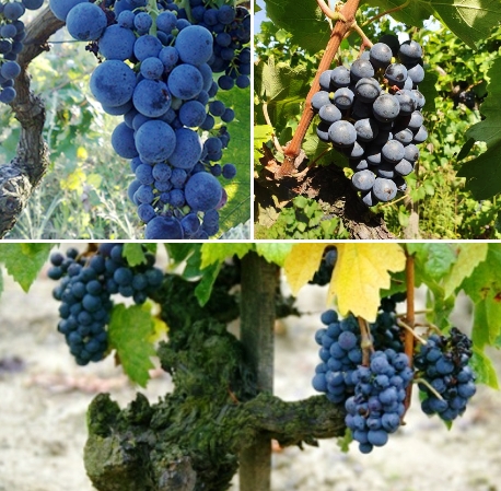
Las características morfológicas de la vid pueden ser descritas como una de porte bajo y buen vigor que se reparte entre pocos sarmientos rígidos y erectos de mayor grosor. Sobre éstos brotan pámpanos de forma piramidal muy algodonosos. Las hojas adultas son de tamaño grande y color verde oscuro, forma irregular, bordes aserrados, poco pelosas en la parte superior, borrosas en el envés. Los racimos suelen ser medianos y de forma cilíndrica, con pedúnculo corto, compactos y algo apretados. Las bayas son redondas, de piel delgada y color azul oscuro, la pulpa incolora es jugosa y contiene varias pepitas. La planta crece rápido, es de ciclo largo, se adapta bien a diferentes tipos de suelo, tolera la sequía, es sensible a las heladas y tendente a las enfermedades, ejerce poca resistencia a las plagas.
La Kadarka es una de las variedades cuyo comportamiento varia mucho según la añada y es por esto que se la califica de bastante caprichosa. En su máxima expresión puede dar vinos cautivadores que se muestran de color rubí de intensidad media y presentan básicamente aromas y sabores especiados (paprika verde y roja, pimienta negra) con notas de frutas rojas frescas (cereza, frambuesa, frutilla, grosella) asi como taninos redondos y bien integrados.

En Hungría, uno de los productores quien trabaja con esta variedad, proveniente en su menor parte de viñedo de 100 años de edad, es Péter Vida quien fundó su bodega familiar (Vida Családi Borbirtok) en 1995 y en la actualidad la superfície total de sus plantaciones es de unas 23 hectáreas. Éstas se extienden por las onduladas lomas con pendientes suaves de la región de Szekszárd donde el suelo se forma a partir de loess calcáreo con arcilla roja y el clima es templado cálido y moderadamente seco. Tiene 3 parcelas de extensión de 2 hectáreas en las que la Kadarka se comporta bien y a partir de la excelente materia prima elabora vinos sinceros y directos (50 hl/ha) que impresionan al paladar con ligereza y sutileza. Si la añada es de muy buena calidad, un 60% de la cosecha se selecciona para vinificación como monovarietal. El Bonsai 2017 (100%) es un ejemplo expresivo que revela tipicidad varietal y muestra verdadero potencial (alcohol: 13,0%, acidez: 5,6 g/l, azúcar: 1,1 g/l). De un color rojo rubí con tonalidades de cereza, ésto se abre con una nariz que expresa notas de fruta roja fresca y un leve matiz floral. En boca presenta cuerpo medio, alegre frescura, acidez equilibrada y finura de sabores originales de la naturaleza. Es elegante y sedoso con un limpio final prolongado. La botella es vestida con una etiqueta cuyo diseño (creación: Xavier Bass) a simple vista llama la atención del consumidor porque el arte de árbol en miniatura es generadora de armonía y ésta puede ser asociada tanto con una de las características del caldo como con su potencial de maridaje.

Las plantas más antiguas de Kadarka crecen en algunas de las parcelas (0,35 hectáreas) de la Vinarija Maurer que ya han llegado a vivir unos 140 años. Se las cultiva (sistema de conducción: vaso, distancia entre plantas: 1 metro) en suelo arenoso que reposa sobre piedra arcilla y caliza en las afueras del pueblito Nosa (Hajdukovo) que se sitúa en Subotica-Horgos, una de las áreas vinícolas de Serbia, cerca de la frontera húngara. Su Kadarka 1880 de la añada 2019 es un vino ícono en el cual se conjuegan el estilo clásico y la exclusividad a causa también de que esta añada fue excepcional. Esto es una joya que se encuentra en las atractivas cartas de restaurantes de alta gastronomía como los mundialmente afamados Noma (Copenhagen) y Gaggan (Bangkok). En Serbia, la superfície destinada a esta variedad registra un total de 11,6 hectáreas cultivadas, de los cuales casi 70% corresponde a la Vinarija Tonkovic, fundada en 2006, que tiene las vides plantadas en la misma parte norteña del país. Esta es la única a que la bodega se dedica y a partir de la cual elabora 6 diferentes vinos, entre ellos la Fantazija 2015 (alcohol: 13,5%, acidez: 5,2 g/l, azúcar: 0,7 g/l) que muestra potencia y complejidad. Las expresa a partes iguales e impresiona con profundidad que atrapa.

En Bulgaria, la Gamza tiene registrada 220,0 hectáreas de viñedo siendo la gran mayoría encontrada en la parte noroccidental del país donde la vid se desarrolla bien en las mesetas aluviales de la llanura danubiana. La Bononia Estate que ha sido fundada en 2013 y se ubica en la cercanía del río, en el pueblito de Koshava (Municipio Vidin), posee una extensión de 8,5 hectáreas de esta variedad situadas a una altitud de entre 35 y 70 metros sobre el nivel del mar. La densidad de las plantaciones (edad: 6 a 7 años) es de 4.444 cepas por hectárea, con una distancia de 2,5 metros entre hileras y 0,90 metros sobre las mismas. Hay también vides en una sola parcela que alcanzaron la edad de 50 años cuyo fruto se utiliza para la producción del vino abanderado Estate Gamza, un fiel representante de la uva. El de la añada de 2018 (alcohol: 12,6%, acidez: 6,2 g/l, azúcar: 3,3 g/l) que ha permanecido 4 meses en barricas de roble francés, destaca especialmente por su frescura y la gran expresión de fructuosidad con amplio abánico de aromas. Da buena cuenta de color rubí de capa media con bordes claros y textura suave con taninos amigables que son características aparecídas nítidamente y así lo convierten en una referencia para la variedad.

En Albania, según datos conseguidos de fuentes oficiales, la superfície total de viñedos dedicados al cultivo de la Kallmet es de 109,7 hectáreas que corresponde aproximadamente al 1% del total. Estas se encuentran principalmente, reflejando una participación de 98% del total, en las zonas costeras de Lezhe y Shkoder, y el restante se divide entre 3 otras. (Al mismo tiempo, actores gremiales consultados afirman que hoy día se calcula con unas 1.600 hectáreas de Kallmet en producción, no obstante, no se conoce el método de manejo de datos. Hasta hace no mucho tiempo, se ha previsto que dentro de poco ésta ocuparía un 20% de la superfície de variedades tintas. Si la cifra más alta indicada es correcta, el porcentaje actual ya es aún más elevado.) Una de las bodegas que a su base produce vinos de buena calidad es la Kantina Kallmeti que la tiene plantada como única. La uva para elaborar su vino Prestigj proviene de parcelas de vides con edad superior a 30 años. La añada de 2017 (alcohol: 15%) es de cuerpo medio con muy buena carga frutal y notas ahumadas, asi como sólida estructura y potencia de guarda. El Rezerve 2016 (alcohol: 13,5%) de la Kantina Arberi (superfície de la Kallmet: 20 hectáreas) también es uno que se destaca entre los mejores albaneses, ante todo por la buena integración de la madera (crianza en barriles de roble:18 meses) y el gran impacto organoléptico. La uva es procedente de un viñedo de más de 50 años de edad que es plantado en las lomas del monte Bukmira a unos 500 metros sobre del nivel del mar.
Con respecto a otros países de la región de Europa Central y Oriental en los que la Kadarka tiene una mayor presencia, Rumania es uno que en particular merece ser mencionado debido a las tradiciones centenarias de su cultivo. La mayor parte de la extensión total (169,0 hectáreas) se concentra en las zonas productoras de Midis-Maderat y Banatului, en la parte suroccidental del país, colindante con Hungría, donde los viñateros audaces no temen dejar sobremadurar la uva. (En los años treinta del siglo pasado en la sub-zona de Minis ésta ha sido la variedad tinta más plantada y fue el Ménesi Kadarka, en especial de cosecha tardía, que le ha dado celebridad y fama.) En la actualidad, por ejemplo, el Cadarca Selection 2017 (alcohol: 14,0%, acidez: 5,5 g/l, azúcar: 3,6 g/l) de Géza Balla es uno de los dignos representantes de aquellos vinos que brindan la máxima expresión enológica de la noble materia prima.

Macedonia del Norte cuenta con 80 hectáreas de Kadarka que representa un 2,8% de la superfície total de uvas plantadas en el país. Se la utiliza en gran medida para hacer vinos de mezcla (con la Vranec, por ejemplo).
En Montenegro en cuyos viñedos crecen diversas variedades autóctonas, la Skadarka viene siendo cultivada en muy pequeña superfície, por ejemplo en el caso de la Vinogradi Dedvukaj en 1 hectárea en Tuzi situada en el sureste del país.
La Kadarka aún puede encontrarse en cantidades pequeñísimas en Austria (Burgenland), Croatia, Eslovaquia y Ucrania (Trascarpacia). Hace algún tiempo, se ha llevado a cabo experimentos en campo con clones de ésta en Australia y Brasil sin seguimiento de su puesta en producción en viñedos de alguna bodega.
Para poder entender el papel del Kadarka en la historia de la cultura vitivinícola húngara, se puede resaltar que en el 2011 el vino "oficial" del bicentenario del célebre húngaro Ferenc Liszt, una de las destacadas personalidades de la música clásica, fue un Kadarka de 2008 de la bodega Heimann ubicada en Szekszárd. (Este productor tiene el banco de genes de esta variedad más grande del país, en cooperación con el instituto universitario PTE SZBKI.)

En la ciudad de Kiskörös, ubicada en la región vinícola de Kunság (Gran Llanura Húngara) se celebra anualmente el concurso internacional „Gran Prix de Kadarka" en el cual compiten unos 120 vinos provenientes de 3 a 4 países. (En el 2020 se realizó la 25° edición.)

Además, el Kadarka se perfila dentro de la gastronomía húngara como un vino que acompaña perfectamente las comidas típicas como, por ejemplo, las sopas gulyás (gulyásleves) y de pescado (halászlé), el guiso de cordero (birkapörkölt) y el "lecsó" (ragú de pimentón, cebolla y tomate en salsa de paprika) y de ahí que no falta de las cartas de restaurantes que ofrecen platos representativos de la cocina tradicional local.
Tampoco hay que dejar de mencionar el Kadarka como fuente de inspiración para compositores de canciones tanto folclóricas como populares y de obras líricas (operetas) an las que es mencionado en diferentes contextos positívos.
Dr. József Kosárka
15.01.2021
Leído › 6482 veces